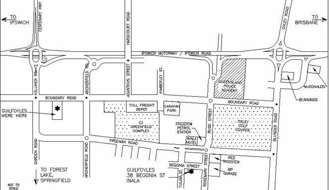
Getting to Begonia Street by Public Transport:  If you need to come by public transport, we are happy to, by
arrangement, collect you from Darra or Oxley Railway Stations and return you afterwards.
 

BACK TO PAGE